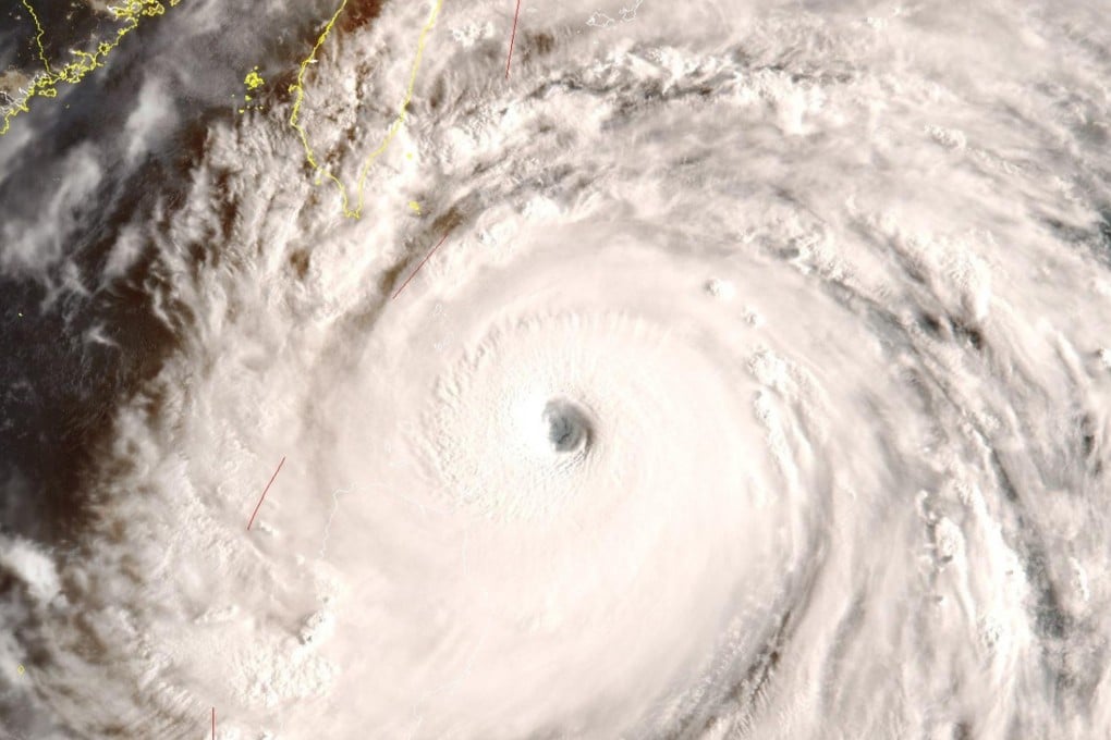
Super Typhoon Ragasa: in China, Shenzhen to evacuate 400,000; Guangdong suspends trains
Ragasa is expected to make landfall from Shanwei in Guangdong province to Wenchang in Hainan sometime on Wednesday

It is expected to make landfall along coastal areas from Shanwei in Guangdong province to Wenchang in Hainan sometime on Wednesday, according to the centre.
From Tuesday to Thursday, heavy torrential rain was expected in Guangdong, Guangxi, Fujian, Jiangsu and Anhui provinces, with some areas likely to receive up to 280mm (11 inches) of precipitation, it said.
Guangdong, which was hit by Typhoon Mitag over the weekend, has issued a series of warnings and advised preventive measures to cope with the strong winds and heavy rain.
Guangzhou’s rail authority said on Monday that from midday on Tuesday it would start reducing railway services in the province. All trains, including high-speed and regular rail services, would be suspended throughout Wednesday before gradually resuming on Thursday.
